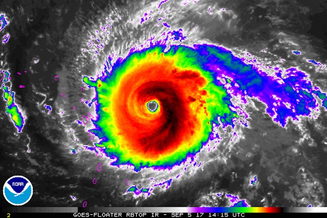
Siêu bão Irma. (Ảnh chụp qua vệ tinh của NOAA)
Theo thông báo mới nhất sáng 7-9 (theo giờ Việt Nam), người đứng đầu vùng lãnh thổ hải ngoại thuộc Pháp Guadeloupe Eric Maire nhấn mạnh đây chưa phải con số thương vong cuối cùng.
Tình hình tại St Martin và St Barts là vô cùng nghiêm trọng do bão Irma đã tàn phá nghiêm trọng hệ thống cơ sở hạ tầng, gây mất điện và nước trên diện rộng. Ước tính khoảng 60-70% các ngôi nhà đã bị phá hủy tại St Martin.
Bộ trưởng Các vùng lãnh thổ hải ngoại của Pháp Annick Girardin đã bay đến Guadeloupe trong tối 6/9 với lực lượng cứu hộ và hàng cứu trợ để đánh giá tình hình.
St Martin nằm ở phía Nam đảo Anguilla, bị phân chia giữa Hà Lan và Pháp. Đảo St Barts nằm ở Đông Nam đảo St Martin, do Pháp quản lý.
Cùng ngày, Thủ tướng Antigua và Barbuda Gaston Browne đã miêu tả hòn đảo Barbuda là gần như không thể sinh sống được sau khi siêu bão cấp 5 Irma đổ bộ vào rạng sáng ngày 6-9.
Ông nhận định việc tái thiết lại khu vực sẽ mất nhiều năm, đồng thời xác nhận cơn bão này đã khiến 1 người dân đảo thiệt mạng.
Ước tính 95% cơ sở hạ tầng tại Barbuda đã bị hư hại, trong đó 30% đã bị phá hủy hoàn toàn. Cơn bão đã quật đổ các tháp viễn thông, gây thiệt hại lên tới 150 triệu USD.
Tới nay, Irma là cơn bão được đánh giá là mạnh nhất ở Đại Tây Dương trong 100 năm qua.
Theo Trung tâm Bão quốc gia Mỹ, sức gió mạnh nhất của cơn bão này lên tới 295km/h. Bão dự kiến sẽ di chuyển theo hướng Tây, quét qua các khu vực đông dân cư ở phía Bắc vùng lãnh thổ Puerto Rico, Cộng hòa Dominicana, Haiti và Cuba.

Câu lạc bộ thơ tỉnh Bình Phước phấn đấu có 5 tác phẩm phổ nhạc
Chủ tịch nước Lương Cường: Với bộ máy hành chính mới, Hà Nội cần tiên phong đổi mới tư duy quản lý
Toàn văn phát biểu của Tổng Bí thư Tô Lâm với nhân dân TPHCM và thông điệp gửi nhân dân cả nước
Lãnh đạo Đảng, Nhà nước dự Lễ công bố các nghị quyết, quyết định sáp nhập đơn vị hành chính
Sổ bảo hiểm xã hội điện tử được cấp chậm nhất là ngày 1-1-2026