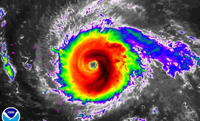
Mỹ, Cuba, Mexico sơ tán hàng chục triệu dân trước siêu bão kép BPO - Ngày 8-9, giới chức Cuba đã phải sơ tán hơn 1 triệu người dân khi siêu bão Irma bắt đầu đổ bộ vào một số khu vực ở miền Đông và miền Trung của quốc gia...
Triều Tiên tuyên bố đáp trả Mỹ do các biện pháp trừng phạt BPO - Theo hãng tin Kyodo, Triều Tiên ngày 5-9 đã chỉ trích Mỹ vì gây sức ép với Hội đồng Bảo an Liên hợp quốc nhằm thông qua một nghị quyết trừng phạt mới do... 06/09/2017 09:01
Phong trào Tây Tiến BP - Năm 1783, nước Mỹ giành được độc lập từ thực dân Anh. Theo thỏa thuận tại “Hiệp ước Paris” giữa Mỹ và Anh, lãnh thổ của Mỹ là vùng đất nằm giữa dãy núi... 06/09/2017 08:05
Triều Tiên đang di chuyển tên lửa ICBM về phía bờ biển phía Tây BPO - Nhật báo Asia Business của Hàn Quốc ngày 5-9 dẫn nguồn tin tình báo cho biết Triều Tiên đang di chuyển một vật thể dường như là một tên lửa đạn đạo liên... 05/09/2017 14:12
Tổng thống Mỹ Donald Trump đề cử người đứng đầu cơ quan NASA BPO - Tổng thống Mỹ Donald Trump đã đề cử ông James Bridenstine, 42 tuổi, Hạ nghị sỹ thuộc đảng Cộng hòa đại diện cho bang Oklahoma, làm Giám đốc thứ 13 của Cơ... 05/09/2017 10:01
Triều Tiên thử hạt nhân nhằm gửi thông điệp sẵn sàng 'xóa sổ' Mỹ BPO - Đài NHK của Nhật Bản cho biết truyền thông nhà nước Triều Tiên đã đưa tin và ca ngợi vụ thử hạt nhân lần thứ 6 của nước này, gọi đó là tuyên bố cho “sự... 05/09/2017 08:22
Bộ trưởng Mỹ dọa cắt đứt các hoạt động thương mại của Triều Tiên BPO - Theo Reuters, ngày 3-9, Bộ trưởng Tài chính Mỹ Steve Mnuchin cho hay ông sẽ chuẩn bị một gói các biện pháp trừng phạt mới nhằm có khả năng cắt đứt tất cả... 03/09/2017 22:53
Nhật Bản và Nga nhất trí thực hiện nghị quyết trừng phạt Triều Tiên BPO - Theo hãng tin Kyodo, Ngoại trưởng Nhật Bản Taro Kono tuyên bố ông và người đồng cấp Nga Sergey Lavrov ngày 1/9 đã nhất trí cùng nhau thực hiện đầy... 02/09/2017 13:39
Giá dầu thế giới tăng hơn 1 USD mỗi thùng sau mấy phiên sụt giảm BPO - Trong phiên giao dịch 31-8, giá dầu thế giới tăng trở lại sau mấy phiên sụt giảm gần đây, trong bối cảnh giá dầu thô của Mỹ sụt giảm trong tháng... 01/09/2017 10:47
Mỹ dự đoán Triều Tiên hoàn thiện ICBM vào cuối năm 2018 BPO - Yonhap đưa tin, ngày 31-8, Kim Young-woo, Chủ tịch Ủy ban Quốc phòng Quốc hội Hàn Quốc và cũng là thành viên đảng đối lập Bareun, cho biết Đô đốc Harry... 31/08/2017 14:18
Tướng Hàn Quốc cảnh báo Triều Tiên có thể sẽ tấn công bất ngờ BPO - Theo Yonhap, ngày 31-8, Tham mưu trưởng Không quân Hàn Quốc, Tướng Lee Wang-keun đã cảnh báo nguy cơ Triều Tiên tiến hành các vụ tấn công bất ngờ trong... 31/08/2017 14:17
Hàn Quốc: Triều Tiên giảm tầm bắn tên lửa bay qua Nhật Bản BPO - Yonhap đưa tin, Bộ Quốc phòng Hàn Quốc ngày 31-8 cho biết trong vụ phóng tên lửa đạn đạo gần đây nhất, Triều Tiên đã hạn chế một nửa tầm bắn của tên lửa... 31/08/2017 10:16
Số người chết và thiệt hại do siêu bão Harvey gây ra tăng mạnh BPO - Tiếp tục cập nhật thông tin về siêu bão Harvey đang hoành hành tại bang bang Texas, Mỹ, tính đến sáng 31-8 (theo giờ Việt Nam) đã có 33 người thiệt mạng... 31/08/2017 10:15
Quân đội Nga tiếp nhận máy bay tiêm kích Su-57 vào năm 2019 BPO - Theo THX, Thứ trưởng Quốc phòng Yury Borisov ngày 30-8 cho biết Không quân Nga dự kiến tiếp nhận lô máy bay tiêm kích Su-57 thế hệ thứ 5 đầu tiên vào năm... 31/08/2017 10:14
Bão Harvey lọt vào tốp 5 trận bão tệ hại nhất trong lịch sử nước Mỹ BPO - Với những thiệt hại đã gây ra trong khi chưa dấu hiệu suy giảm cường độ, giới chuyên gia nhận định bão Harvey có thể lọt vào tốp 5 trận bão tệ hại nhất... 30/08/2017 14:25
Tổng Thư ký Liên hợp quốc ủng hộ mạnh mẽ giải pháp hai nhà nước BPO - Ngày 29-8, nhân chuyến thăm chính thức Trung Đông, Tổng Thư ký Liên hợp quốc Antonio Guterres đã khẳng định giải pháp hai nhà nước là phương án hợp lý... 30/08/2017 08:21
Hàng nghìn cây ATM ở Indonesia bị tê liệt do sự cố vệ tinh BPO - Hàng ngàn máy ATM và máy thanh toán bằng thẻ điện tử ở Indonesia đã không hoạt động vào cuối tuần qua, và có thể phải mất thêm hai tuần nữa để khôi phục... 29/08/2017 15:07
Tổng thống Mỹ Donald Trump mong muốn quan hệ tốt đẹp hơn với Nga BPO - Tổng thống Mỹ Donald Trump ngày 28-8 bày tỏ hy vọng Washington có thể đạt được mối quan hệ tốt đẹp với Nga bởi điều này có ích cho hòa bình thế... 29/08/2017 14:39
Châu Á-Thái Bình Dương kêu gọi Triều Tiên từ bỏ tham vọng hạt nhân BPO - Nhiều nước khu vực châu Á-Thái Bình Dương đã lên án vụ Triều Tiên phóng một tên lửa đạn đạo sáng sớm 29-8, kêu gọi Bình Nhưỡng từ bỏ tham vọng hạt nhân... 29/08/2017 14:35
Người dân Anh chào đón cây cầu "cánh buồm" dài nhất thế giới BPO - Người dân thủ phủ Edinburgh của Scotland (Vương quốc Anh) và khu vực phía Bắc xứ này đã đón chào Queensferry Crossing, cây cầu thứ 3 bắc qua sông Forth,... 29/08/2017 14:31
Tên lửa Triều Tiên vỡ làm 3 mảnh, Hàn Quốc triệu tập phiên họp khẩn BPO - Theo Yonhap và Reuters, ngày 29-8, Văn phòng Tổng thống Hàn Quốc đã triệu tập một phiên họp khẩn của Hội đồng An ninh quốc gia (NSC) sau vụ phóng tên... 29/08/2017 08:08
Lở đất tại Quý Châu khiến hàng chục người mất tích BPO - Đã có ít nhất 2 người thiệt mạng và 25 người khác bị mất tích trong một trận lở đất sáng 28/8 tại thành phố Tất Tiết thuộc tỉnh Quý Châu, miền Tây Nam... 28/08/2017 15:56
Lãnh đạo quân đội Nga tuyên bố tự chủ về mặt hàng công nghệ thông tin BPO - Theo Tass, ngày 27-8, người đứng đầu cơ quan phát triển công nghệ thông tin và viễn thông thuộc Bộ Quốc phòng Nga, ông Maxim Bets khẳng định các lực... 28/08/2017 07:56
Xung quanh tin đồn thỏa thuận bí mật để bà Yingluck rời khỏi Thái Lan BPO - Tân hoa xã đưa tin, ngày 27-8, Hội đồng quốc gia vì hòa bình và trật tự của Thái Lan (NCPO) đã bác bỏ những cáo buộc rằng cơ quan này và cựu Thủ tướng... 28/08/2017 07:48
Lãnh đạo Triều Tiên bất ngờ hủy một cuộc triển lãm hàng không BPO - Theo NHK, ngày 27-8, kênh truyền hình NHK dẫn nhiều nguồn tin ngoại giao cho biết. Triều Tiên đã hủy một cuộc triển lãm hàng không dự kiến diễn ra vào... 28/08/2017 07:32
Máy bay Nga yểm trợ, quân Syria áp sát địa giới tỉnh Deir al-Zour BPO - Ngày 27-8, quân đội Syria đã tiến sát biên giới hành chính của tỉnh Deir al-Zour khoảng 70 km, tiếp theo đà tiến công gần đây trong cuộc chiến chống lại... 28/08/2017 07:30
Biểu tình tại Ấn Độ: Ít nhất 30 người thiệt mạng, 250 người bị thương BPO - An ninh đã được tăng cường trong bối cảnh tình hình tiếp tục căng thẳng tại các bang Haryana và Punjab, miền Bắc Ấn Độ. 27/08/2017 14:31
Động đất mạnh 6,6 độ Richter ở vùng biển Papua New Guinea BPO - Theo Cơ quan Khảo sát Địa chất Mỹ (USGS), ngày 27-8, một trận động đất mạnh 6,6 độ Richter đã xảy ra ở vùng biển cách thị trấn Lorengau thuộc tỉnh Manus... 27/08/2017 14:29
Mỹ: Siêu bão Harvey tràn vào Texas làm nhiều người thương vong BPO - Ngày 26-8, siêu bão Harvey đã hoành hành tại khu vực trung tâm của bang Texas, Tây Nam nước Mỹ khiến ít nhất 1 người thiệt mạng và một số người bị... 27/08/2017 14:13
Ngoại trưởng Đức cảnh báo về nguy cơ Chiến tranh Lạnh mới BPO - Hãng tin Reuters ngày 26-8 đưa tin, Ngoại trưởng Đức Sigmar Gabriel cảnh báo chính sách tăng chi tiêu quân sự của Chính phủ nước này là một sai lầm... 27/08/2017 14:12